整形・神経科
Orthopedic surgery
整形・神経科
Orthopedic surgery
宝塚市、伊丹市、川西市、西宮市北部にお住まいの飼い主様へ。
「歩き方がおかしい」「急に立てなくなった」「発作が起きた」といった、運動器や神経のトラブルに直面していませんか?
ESSE動物病院 宝塚は、吹田本院で培った知見と、二次診療施設での研修経験を活かした精密な診断を提供します。骨・関節の痛みから脳神経の異常まで、科学的根拠に基づき、大切な家族の「歩く喜び」を支えます。
整形・神経疾患は、外見からは原因が分かりにくいことが多いため、専門的なチェックが必要です。
これらのサインは、骨の痛みだけでなく、神経の圧迫が原因である可能性もあります。
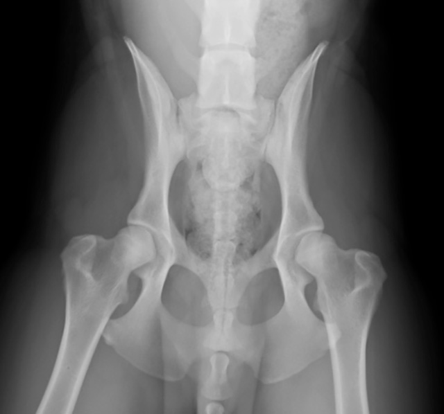
膝の靭帯が切れてしまい、足を地面につけなくなる病気です。当院では、二次診療施設での経験を活かした的確な触診とレントゲン検査で診断を行います。症状に応じた内科治療のほか、外科手術が必要な場合は、より安全で確実な実施のために高度医療施設(二次診療施設)へのスムーズなご紹介を行っています。
脳の異常により発作を繰り返す病気です。当院では「脳に原因があるのか、それとも別の内臓疾患か」を切り分ける神経学的検査を徹底しています。緊急時の発作を止める処置はもちろん、ご自宅で安心してお過ごしいただくための「鼻腔内噴霧器」の処方や指導も積極的に行っています。
背骨のクッション(椎間板)が飛び出し、神経を圧迫する病気です。痛みだけで済むケースから、下半身不随になるケースまで様々です。当院ではレントゲンや神経学的検査で他の疾患を慎重に除外した上で、内科・外科の最適な方針を決定します。
スコティッシュフォールドに多く見られる、関節炎を伴う遺伝性の病気です。完治が難しい病気ですが、当院では痛み止めやサプリメントを用いた緩和ケアに加え、症状が重い場合には放射線治療が可能な高度医療施設へのご紹介も行っています。
猫ちゃんもワンちゃんと同様に、発作やヘルニアを起こすことがあります。特に猫の発作は診断が難しいケースも多いため、血液検査や神経学的検査を組み合わせ、必要に応じてCT・MRI検査(外部施設)への手配も迅速に行います。
「歩き方が変」という症状の裏には、筋肉、骨、関節、あるいは脳・神経など、複数の原因が隠れています。当院では二次診療施設での研修経験を活かし、どこに痛みや違和感があるのかを丁寧な触診(ハンズオン検査)で見極めます。

発作が止まらない重篤なケースへの救急対応はもちろん、ご自宅で飼い主様が慌てずに対処できるよう、鼻腔内噴霧(抗痙攣薬)の処方や使い方指導を徹底しています。動物とご家族が安心して日常を送れるようお手伝いします。

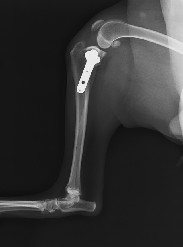
「より早く、より安全に」治すことを最優先に考え、専門性の高い外科手術(TPLO等)が必要な場合は、信頼できる二次診療施設へ迅速にご紹介します。手続きだけでなく、場合によっては施設への送迎もサポートしており、診断から完治まで責任を持って見守ります。

歩き方や発作の様子を撮影した動画があれば、ぜひお見せください。診断の重要なヒントになります。※緊急の発作時は優先的に処置へ入ります。

実際に歩く姿を観察し、その後、関節の可動域や神経の反射を細かくチェックします。

高性能レントゲン、エコー、関節液検査などを行い、痛みの正体を突き止めます。

結果に基づき、内科療法(お薬・サプリメント)や、二次診療施設での手術など、動物にとって最善の選択肢をご提案します。

お薬の使い方や、お家での安静の保ち方をアドバイスし、次回の目安をご案内します。

※体重や病状により変動いたします。
| 整形触診・神経学的検査 | 2,200円〜 |
|---|---|
| レントゲン検査 | 2,750円〜 |
| CT・MRI検査(外部連携) | お見積もりを口頭提示 |
| 痛み止めの内服(目安) | 2,200円〜 |
| 外科手術(内容による) | 状態により概算を提示 |
「原因不明のふらつき」や「突然の発作」に、確かな診断を。
吹田本院での高いセカンドオピニオン実績をベースに、宝塚の地でも丁寧な診療を心がけています。足腰や神経の不安があれば、迷わず当院へご相談ください。